聯合報
陸軍前士兵竟在營區置物櫃藏放二級毒品煙彈 還化名「特務K」轉讓K菸

陸軍步兵第137旅步一營李姓前士兵去年竟攜帶含有二級毒品成分的煙彈二顆進入營區,藏放於個人內務櫃及置物櫃,遭憲兵隊搜出;...
這是第 359 頁,共 930 頁
聯合報

陸軍步兵第137旅步一營李姓前士兵去年竟攜帶含有二級毒品成分的煙彈二顆進入營區,藏放於個人內務櫃及置物櫃,遭憲兵隊搜出;...
ETtoday

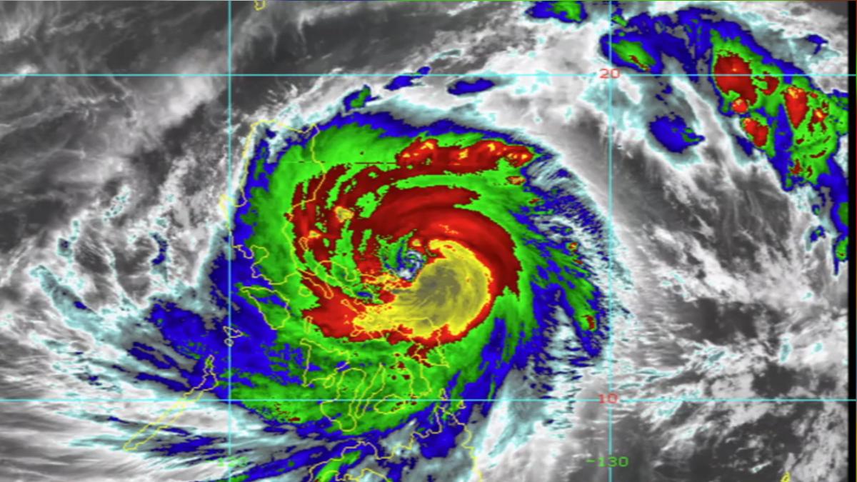
颱風「鳳凰」預計9日晚間登陸菲律賓,隨後大轉彎朝北往台灣方向直撲而來。鳳凰已增強至超級颱風,威力驚人,不容小覷。根據日本氣象廳預測路徑,鳳凰將於12日、13日最靠近台灣,且有望登陸,甚至從西台灣橫穿整個台灣,再往沖繩移動。
ETtoday

印度一名70歲男子因腦溢血住院,但病情惡化,他的維生裝置被撤掉,家屬以為他已經過世,把他帶回家準備後事。沒想到就在葬禮相關事宜籌備期間,他突然恢復呼吸,讓家屬直呼奇蹟。
Newtalk

鳳凰颱風來勢洶洶,對此,氣象專家吳德榮指出,明(10)日鳳凰外圍環流逐漸接近,北部及東半部的降雨逐漸增大,高屏及各地山區亦轉有降雨機率;11、12日鳳凰的「共伴效應」最劇烈,北部及東半部有發生「大量致災雨」的潛勢。吳德榮指出,今日為「風雨前的寧靜」,各地天氣晴朗,白天熱早晚涼的天氣,晚起北海岸及東半
ETtoday

台灣中油公司自明(10)日凌晨零時起汽油調降0.2元、柴油價格不調整,參考零售價格分別為92無鉛汽油每公升27.1元、95無鉛汽油每公升28.6元、98無鉛汽油每公升30.6元、超級柴油每公升25.7元。
聯合報
副總統蕭美琴結束訪歐行程今天清晨搭機返台,前總統蔡英文昨晚搭機出訪德國出席「柏林自由會議」。總統賴清德說,台灣是國際社會...
工商時報

這是一整套的老招:先買地、政府和建商喊台積電來了、預售屋瞬間推出、馬上賣光光搶著轉售獲利、等待自住客上車……台積電題材好好用,還有捷運宅是萬年老招,百貨商場讓荒地逢春,處處都想當第二信義計畫區─建商很敢放消息,但你有本錢跟著賭?心魔難敵,但我們在隨之起舞前,得先冷靜冷靜,回歸買房的初心和口袋的深度。...
風傳媒

中國國民黨主席鄭麗文8日出席「50年代白色恐怖受難者秋季追思慰靈大會」,由於共諜吳石名列「犧牲烈士」之中,加上現場有民眾高喊「我們都是中國人」,相關內容受到大陸媒體報導,並登上微博熱搜。不過鄭麗文後來強調,她收到的活動邀請函當中並未提到吳石等人,且在過去30多年中,每一年的秋祭也從未以吳石等人為主要祭悼對象,有人刻意誤導、扭曲了這場活動的莊嚴性。陸委會8日晚......
三立新聞

花蓮馬太鞍溪堰塞湖災害重創光復鄉,許多居民生活受衝擊;由於氣象預報颱風鳳凰近日恐接近台灣,花蓮縣消防局特別啟動防颱整備措施,針對受災民眾補發緊急避難救護包。
NOWnews
台灣中油公司宣布,自明(10)日凌晨零時起汽油調降0.2元、柴油價格不調整,參考零售價格分別為92無鉛汽油每公升27.1元、95無鉛汽油每公升28.6元、98無鉛汽油每公升30....
NOWnews
鼓勵單身男女拓展交友圈、營造健康婚戀氛圍,台中市政府民政局攜手東勢戶政事務所(8)日舉辦「愛情,從一杯咖啡開始」單身聯誼活動,帶領39位單身男女走進東勢四角林...
自由時報

南投埔里鎮虎頭山是中部著名飛行傘勝地,惟昨(8日)卻驚傳意外,有2名飛行傘傘友在空中相撞,導致雙雙墜落樹林,經查南投縣消防局並未接獲相關救援通報,但有當地的飛行傘業者說,2名傘友掛樹後已自行脫困,未有大礙。據了解,發生飛行傘空中碰撞的2名飛行者,其中1人是台灣傘友,另名則是來自香港的學員,係由香港教練指導學習飛行傘,惟當時港籍學員在獨自飛行時,卻沒注意到另名台籍傘友,以致雙方飛行傘距離過近造成碰撞,隨後2人就墜落下方樹林。
ETtoday

為提升原住民族人參與便利性,台中市年度原住民族文化節今年做出重大變革,首度從過往集中舉辦一場,改為在山、海、屯區各辦一場的「分區辦理」模式。首場活動昨(8)日於大雅區原住民文化館揭開序幕,以泰雅族文化為主題,透過樂舞、美食與市集,展現原民文化的多樣性。
TVBS

日本首相高市早苗7日在X(原推特)發文,提到「第一先生」前眾議院議員山本拓獲頒秋季勳章「旭日大綬章」一事。她在文中感嘆「無法在坡道為他推輪椅」後,引發巨大回響。許多網友感動表示「感受到她對丈夫的愛」。
TVBS

高雄市區凌晨,一名有前科的35歲黃姓男子駕車衝撞警察,警方開了6槍試圖阻止卻仍讓他逃逸,同車的17歲少年則被留在現場。監視器畫面顯示黃男突然移動車輛,差點撞到站在車頭的員警,而警方邊開槍邊閃躲的驚險畫面,讓居民也捏把冷汗!黃男與少年原是網友,當晚從北高雄開車到市區找朋友,卻因車輛違停未熄火而遭盤查,過程中還飄出濃濃K他命味。目前警方正積極追緝黃男。
中國時報

41歲吳姓男子昨(8)日在新北市板橋區雙十路二段與松柏街口違停,被巡邏的員警發現上前盤查,未料吳男卻拒絕配合,被員警持警棍破窗當場逮補,才發現吳男無照駕駛還懸掛假車牌並吸毒,被依《刑法》妨害公務、偽造文
自由時報

彰化縣田中馬拉松今天(9日)開跑,邀請到日本跑團的「田中先生小姐」跨海參與,10位田中先生、田中小姐在開跑之前,還到彰化市、鹿港等地展開最接地氣的小旅行,讓馬拉松為彰化打開國際觀光的大門!這次「田中先生田中小姐」的小旅行,由彰化縣馬拉松協會、縣府城觀處攜手幸福販賣所、旅庫彰化等單位共同辦理。在彰化市的行程由旅庫彰化創辦人邱明憲負責導覽,走訪八卦山大佛、南天宮十八層地獄、小西商圈,以及到肉乾老店水根行體驗現烤肉乾,為今天開跑添加能量。
經濟日報
前中廣董事長趙少康在罷免案投票時涉嫌亮票,遭台北地檢署依違反選罷法起訴,並請法院從重量刑。國民黨團書記長羅智強今天說,從...
經濟日報
副總統蕭美琴結束訪歐行程今天清晨搭機返台,前總統蔡英文昨晚搭機出訪德國出席「柏林自由會議」。總統賴清德說,台灣是國際社會...
中國時報

男子阿智與妻子小靈(均化名)結婚逾10年,育有3名子女,原以為共組溫馨家庭,不料,婚後風波不斷。阿智指控小靈不僅家務怠惰、對孩子漠不關心,甚至沉迷網愛、債台高築,導致討債集團上門鬧事。最終,小靈離家出走
中國時報

曾擔任過台灣大學校長的楊泮池,現今每一項頭銜也都分量十足:中研院院士、生策會副會長、肺癌權威、台大醫學院教授、鑽石生技投資公司董事長,產、學、醫、研多重舞台同時演出,卻始終掌握節奏。根據《財訊》雙週刊
中國時報

明明短影音的流量紅利已經不如兩、三年前爆發式成長,但你知道嗎?當流量紅利已經不在了,反而有越來越多企業搶著進軍短影音。短影音,正從「抖音一響,父母白養」的娛樂舞台,多元化發展成企業使用的數位名片。雖然
聯合報

鳳凰颱風持續接近台灣,中央氣象署預估,受颱風外圍環流及東北季風共伴效應影響,明天起花蓮山區將下豪雨,農業部林業及自然保育...
聯合報

一名30歲的女性,10年前接受鼻中隔彎曲手術,鼻腔打通後雖然變得較通暢,卻出現呼吸困難、吸不到氣感覺,手術矯直彎曲的部分...
三立新聞

迎接年底購車旺季,MG Taiwan正式宣布11月優惠開跑,全車系皆享有政府新購小客車貨物稅減徵優惠,讓消費者能以更親民的價格入手「超規滿配」好車。不僅價格划算,MG還加碼送出兩大人氣按摩神器,讓你買車也能把放鬆生活一起帶回家。
TVBS

非洲豬瘟禁運禁宰令近日解除後,7日凌晨零時起恢復毛豬拍賣、屠宰、屠體運輸及零售交易。國防部也在臉書宣傳國軍吃台灣豬,「饗美味國產豬肉、鍛堅實國防戰力」,沒想到卻出現大量外國帳號留言洗版,「中國向蘇丹的叛亂民兵『快速支援部隊』(RSF)出售武器」,國防部也因此在留言區用中文加上英文留言置頂表示,「這裡是中華民國,不是中華人民共和國。」
壹蘋新聞網

【記者凃建豐/高雄報導】高雄酒醉女子錯上劉男汽車,劉男見女子意識不清,竟起色心,將她載往汽車旅館性侵,地院一審依乘機性交罪判刑3年4月。高雄高分院審理時,劉男二審期間再與被害人達成和解,合計賠償19萬元,犯罪後坦承犯行,酌情改判有期徒刑3年1月,但駁回緩刑請求,全案仍可上訴。
壹蘋新聞網

【記者呂承哲/台北報導】週五受美股下跌拖累,台股終場回檔248.04點、跌幅0.89%,收在27,651.41點,失守28,000點與月線,週線中止連6紅,下挫581.94點、跌幅2.06%,平均日均量5,605億元。三大法人本週僅投信站在買方,結束連13週賣超、轉為買超35.44億元,外資大賣1,141.22億元,自營商賣超192億元,三大法人合計賣超1,297.78億元。
聯合報

高雄市街頭奇景!一名機車騎士5日晚間後載超大水塔停在澄清路與建國路口,只見騎士整個人幾乎被水塔淹沒,只露出兩條腿撐著等紅...
ETtoday

台灣米倉田中馬拉松今(9)日在彰化田中鎮開跑,一名62歲張姓男選手9時許於建國路和大社路一段的交叉路口昏倒,消防到場時選手無呼吸心跳,經急救後恢復意識送醫。
三立新聞

台灣高鐵在9月推出「寧靜車廂」,希望可以提升乘車品質,卻引發不少爭議,事後高鐵撤除宣導圖卡,改為口頭提醒及柔性引導。但近日一名老師透露,自己在高鐵上面改作業,紅筆發出「刷刷刷」的聲音,竟被另一名乘客要求小聲一點,即使換筆仍出現問題,讓她很無奈,文章曝光掀起討論。
中央社
中職樂天桃猿隊投手曾家輝季後在球隊安排下,加入日職橫濱DeNA訓練,儘管訓練量多但不覺得累,運科輔助,教練協助調整投球機制,改善發力和聯貫性,盼今天交流賽先發展成果。
聯合報

鳳凰颱風預估今升級為強颱,並在最顛峰時通過呂宋島進入南海後北轉撲台。農糧署表示,由於本次颱風將從西半部登陸,受颱風影響蔬...
聯合報

中度颱風鳳凰預測路徑撲台而來,基隆的漁船陸續返回港內。基隆區漁會總幹事陳文欽今天說,今晚起漁港應該會只進不出,近1個月漁...
自由時報

比目魚是台灣常見的魚種,它們的雙眼都在同一側,但國家海洋研究院強調,那不是天生「長歪」,而是長大「眼睛搬家」後才有的特徵,更有「左派」、「右派」的差異。國海院指出,比目魚是硬骨魚,但與大多兩側構造相似的魚類不同,比目魚的眼睛都在身體上側,游泳時以側躺,讓身體的一側貼著沙地前進;平常也常把身體埋在沙裡,只露出眼睛觀察四周。
三立新聞

花蓮縣府今天發布快訊,根據林保署緊急通報,馬太鞍溪堰塞湖警戒值已達黃色警戒,縣府已立即通知光復鄉公所、鳳林鎮公所及萬榮鄉公所啟動預防性疏散撤離及收容避難前置作業。
三立新聞

命理生肖專家曼樺老師公布11月9日至11月15日十二生肖整體運勢。本週「屬虎」運勢稱王,事業強勁、財運跟著旺,榮登第一名;緊接著「屬兔」穩中帶發,工作順利推進,拿下第二名。第三名則有三位幸運生肖並列──牛、蛇、馬都能在努力中迎來轉機。
三立新聞

在約旦舉行的U16亞洲女子排球錦標賽11月8日落幕,賽前僅集訓15天的台灣女排締造驚奇,一路闖進冠軍戰,雖最終經歷5局大戰後,以28:26、21:25、11:25、25:19、13:15,總局數2比3惜敗給韓國,但亞軍已經超越上屆季軍,寫下2度參賽最佳成績,更搶下明年U17世界女子排球錦標賽資格。
中央社
交通部觀光署東北角及宜蘭海岸國家風景區管理處表示,龜山島周邊海域受東北季風及颱風鳳凰外圍環流影響,基於離島臨時碼頭靠泊及遊客安全考量,今天起至13日封島5天。(編輯:蕭博文)1141109
中央社
副總統蕭美琴結束訪歐行程今天清晨搭機返台,上午她緊接著前往台北世貿一館參觀「2025台北國際金融博覽會」,對台灣金融產業各項創新服務表達肯定之意。
壹蘋新聞網

【高沛生/綜合報導】台灣即將邁入超高齡社會,衛福部長石崇良宣布,明年起將啟動全國性「獨老普查」,兩年內完成約70萬名獨居長者訪查,並導入長照3.0資源。石崇良表示,普查將透過62億元韌性條例特別預算,了解長者病史與照護需求,作為長照3.0落實的前置作業,讓資源能「歸人、歸戶」使用,預防孤獨死風險。社家署代理署長周道君指出,目前列冊關懷的弱勢獨居長者僅約6.5萬人,實際獨居者可能高達70萬人,盼透過完整盤點機制,讓長者「獨居但不孤獨」。
聯合報

2025進入尾聲,新北板橋最大盛事「新北歡樂耶誕城」也將於14日開幕。據近日報導,有議員提出想將耶誕城分散至其他地區的想法,消息一出引來各界熱議,一名網友在PTT發文推測,也許會擴至即將通車的三鶯線或淡水。
自由時報

鍾姓男子具後備軍人身分,卻數度逃避教育召集遭法辦,去年因未依規定申報住址變更,也未告知親屬聯絡方式,導致教召令無法送達本人,鍾男未在規定時間至海軍陸戰隊學校報到而觸法,檢方認為台海情勢嚴峻,鍾男卻一再躲避教召,實屬不該,建請法院加重量刑,屏東地院依妨害兵役治罪條例判處鍾男5個月徒刑,可易科罰金及上訴。鍾姓男子曾數度逃避教育召集被依妨害兵役治罪條例判處可易科罰金的3個月不等徒刑,執行完畢後卻未記取教訓,去年4月間再度受到教召,須在規定時間內向海軍陸戰隊學校報到服役,但鍾男住址更變並未依規定向戶政單位申報,也未向親屬告知聯絡方式,導致屏東縣後備指揮部無法送達教召令給鍾男本人,鍾男因而未參加教召,檢方偵辦後,認為現今台情勢嚴峻,鍾男卻一再逃避教召,實不足取,建請法院加重其刑。
經濟日報
基隆-石垣島航線因船隻整備工期延誤,導致開航時間往後延。華岡集團總經理洪郁航說,目前預計最快11月底、最晚也會在年底前開...
經濟日報
台大邀請2013年諾貝爾生醫獎得主羅思曼夫婦到校交流,羅思曼提到,科學之路充滿挑戰與失敗,「唯有熱愛才能堅持下去」,研究...
自由時報

台灣副總統蕭美琴7日罕見訪問布魯塞爾並在歐洲議會發表演說,引發《路透》、《美聯社》等國際主流媒體高度關注,並一致將其定調為台灣一次「不尋常」且「日益大膽」的對歐外交突破。各家媒體雖均強調此行的罕見性,但報導角度各有側重,立體地呈現了國際社會對此事件的不同解讀。《路透》的報導中聚焦於此行在外交禮賓層級上的突破。報導指出,像台灣副總統如此高級別的官員出訪,極為罕見,主要考量是可能引發中國對東道主國家的強烈報復。報導認為,此行顯示從英國到波蘭等歐洲國家,正日益「無視北京的反對」,深化與台灣的關係。
聯合報

爭取民進黨高雄市長提名的立委邱議瑩今天指出,前總統蔡英文、副總統蕭美琴為台灣民主發聲,國民黨主席鄭麗文卻在追思共諜。台灣...
三立新聞

馬來西亞歌手黃明志捲台灣網紅謝侑芯命案,於5日自動到警局投案,他的代表律師也曝光現在的最新進展,指出已經90小時沒有跟黃明志接觸。
中央社
前中廣董事長趙少康在罷免案投票時涉嫌亮票,遭台北地檢署依違反選罷法起訴,並請法院從重量刑。國民黨團書記長羅智強今天說,從未聽聞有因亮票而遭判刑者,檢察官卻仍執意起訴,還要求法院從重量刑,這是否又是司法追殺。
TVBS

國民黨主席鄭麗文昨出席由統派團體主辦的白色恐怖秋祭,追思對象包括當年中共安插於國民政府內的最高階共諜吳石,被質疑敵我不分、與中華民國立場不符。前國民黨立委蔡正元率先開嗆,中國國民黨從今以後改名為「中國國民投降黨」可能更名符其實。國民黨前青年部副主任丁瑀對鄭麗文公開參與「吳石」紀念活動及先前發表俄羅斯總統普丁非獨裁者言論表達震驚與失望。丁瑀指出,鄭麗文未譴責共諜吳石,反而出席紀念活動,質疑這種行為是踐踏中華民國尊嚴。他認為,吳石固然不重要,重要的是「無時無刻」維護中華民國權益,而非媚共,甚至幫中共的盟友普丁說話。
NOWnews
NBA美國職籃(National Basketball Association)洛杉磯湖人今(9)日102:122輸給傷兵滿營的老鷹,以難堪敗仗終止5連勝,先發中鋒艾頓(Deandre Ayton)全場僅打19分...
經濟日報

南臺科技大學前校長盧燈茂,以天圓地方的精神,在現有基礎與資源上積極找問題並解決,作為他人生行事的準則,從事教職工作40年,造育英才不勝枚舉,今年獲得教育部資深優良教師獎,日前再獲國立成功大學機械工程系傑出系友獎,9日在成大頒獎,堪為教師的表率。
自由時報

俄羅斯7日發生直升機墜機事故,一架Ka-226直升機在北高加索地區的達吉斯坦共和國墜毀,造成5人死亡。這架Ka-226直升機在事故當時因不明原因在達吉斯坦共和國的裏海沿岸「重落地」,造成尾翼斷裂,駕駛試圖拉起直升機,事後仍不幸墜毀,相關影片也在社群瘋傳。綜合外媒報導,這架直升機上載有4人,包含駕駛共5人,5人全都在這場事故中罹難。據了解,機上4人是俄羅斯國防公司「KEMZ」的員工,該公司專門生產航空裝備。其中包括公司營運高層,此事故除了有5人罹難,也另外導致2人。
中央社
台灣米倉田中馬拉松今天登場,約1萬7000名跑者參賽,歌手任賢齊也返鄉參與,現場加油聲此起彼落,氣氛熱絡;數位發展部並在現場設立田中馬拉松資訊站,協助跑者在比賽中更順暢。
TVBS

秘魯政壇近期爆發醜聞,國會議員巴斯克斯(Lucinda Vásquez)遭媒體曝光倚在沙發上,讓其助理、同時疑似是她親屬的男子修剪腳趾甲,畫面引爆爭議。對此,秘魯國會道德委員會已正式批准展開調查,不過涉事助理則稱,巴斯克斯罹患癌症,為她剪指甲是出於人道考量。
TVBS

近年來,台灣租屋族面臨高房租壓力,內政部推出「未婚單身租屋補貼」,符合年齡20至40歲、名下無房及月薪低於4萬6000元的條件者,每月可獲得2880元補助。若合租雙方共同登記,則可各自申請,最高可達5760元。內政部警告房東不得以條款限制申請,違者將面臨最高50萬元罰鍰。
TVBS

薔薔、元元、夏語心和哈孝遠等人上中天綜合台《綜藝OK啦》,薔薔自認很有異性緣:「肯定所有男人都想親我,因為各年齡層的男人我都收服過,我還有過讓那種老到已經沒力氣的人,看到我就有力氣。」她還透露自己有「獄中情人」封號,透露犯人會寫信給她,甚至有人帶她的簽名在獄中分送,原本躺在廁所旁邊,馬上改睡草蓆。來賓潤少幫薔薔作證:「我坐過牢,裡面大家都喜歡妳。」讓哈孝遠瞬間啞口無言。
台視新聞

台灣中油公司宣布,自明(10)日凌晨零時起汽油調降0.2元、柴油價格不調整,參考零售價格分別為92無鉛汽油每公升27.1元、95無鉛汽油每公升28.6元、98無鉛汽油每公升30.6元、超級柴油每公升25.7元。台灣中油表示,按浮動油價機制調整原則,汽油每公升應調降0.1元、柴油價.....
聯合報

中山醫學大學昨舉行65周年校慶大會,並慶祝護理學系創系60周年。典禮中頒授醫學系第十屆校友、美國仁愛醫療集團總裁吳元煌名...
聯合報

花蓮鳳林鎮59歲游姓通緝犯6日因違規左轉遭警方攔查,竟持刀拒檢衝撞員警、隨機搶車逃逸。警方循線追捕兩天,昨天趁他在花蓮市...
中國時報

台中百年老店「犁記餅店」一名30歲女員工,昨(8)日上午9時許作業時,手部不慎遭攪拌機捲入,左手三根手指疑遭重壓輾碎,嚴重受創,連人帶部分機具被緊急送醫治療。經調查,女子因為照規定使用推擠棒而釀禍,台中市
三立新聞

鄰居深夜噪音擾鄰,夜半嬌喘聲頻傳該怎辦?讀者向《三立新聞網》投訴,新租屋處對面同樣租屋的女鄰居,經常深夜返家後發出嬌喘聲、撞擊聲等噪音,向房東投訴也無效,專家指出,若房東無法制止,建議錄音證據保全,並報警請警方到場一起聽。(陳韋帆)
ETtoday

為協助民眾就業、轉職與兼職需求,台北市就業服務處本週(11月10日至14日),推出連續五天的現場徵才活動,邀集25家知名企業參與,釋出多達985個職缺,橫跨旅宿餐飲、批發零售、公共自行車租賃及照顧服務等產業。活動除艋舺站配合「新住民成果展」於下午1至3時登場外,其餘場次皆為下午2至4時舉行,邀請有求職、轉職需求的民眾踴躍參加,掌握與企業面對面交流的機會。
TVBS

鳳凰颱風將以強颱之姿襲擊菲律賓呂宋島,隨後北轉影響台灣!氣象署預估颱風可能從台中以南登陸,再從東北部或東部出海,甚至可能消散於台灣上空。週一、週二將先出現共伴效應,北台灣及東部地區有豪雨以上等級降雨;週三、週四颱風通過時,中南部及花東地區也將有顯著雨勢。氣象專家林得恩指出,「鳳凰取自山的名字,將與中央山脈進行山山對決,但碰上中央山脈,實力差距太大,會快速減弱」,然而其威脅性仍不容小覷。民眾應及早做好防颱準備,密切關注最新氣象資訊。
中國時報

民進黨選對會5日通過決議,建請中執會徵召立委蘇巧慧參選2026年新北市長,高雄市長陳其邁9日特別在臉書社群PO出他與蘇巧慧合照,並發文表態力挺,他強調,蘇巧慧是最合適下個階段新北市長的人選,全力支持蘇巧慧。陳
三立新聞

同樣的年紀,有人看來衰老,有人看來凍齡。醫師黃軒表示,除了基因外,研究發現,這與體內一段微小卻致命的DNA結尾「端粒」密切相關,每次細胞分裂,它就被磨掉一點點,磨光時,細胞即死亡。有研究指出,端粒短的人,罹患心血管疾病、糖尿病、失智症、骨質疏鬆的機率都顯著升高,例如端粒短者冠心病的風險上升1.54倍,罹患第二型糖尿病的風險增加45%。
自由時報

新北市陳姓女子在網路上找工作,但陳母發現根本就是求職詐騙,經勸說後陳女仍執意前往取款,陳母不願女兒被詐騙集團利用報警求助,警方進行埋伏監控後,逮捕陳女及陳姓監控手,詢後將2人移送偵辦。中和警分局調查,無業的28歲陳女上月底在臉書求職,對方稱可應徵公司外務人員,負責收取公司款項,工資從領取的款項內抽取,每次有2000元酬勞且車馬費另計,而這些對話內容被陳母發現,但陳女仍不聽勸執意要前往收取被害人款項,陳母擔心女兒遭騙觸法,進而向警方報案。
中國時報

立委日前怒鋪噴銓敘部在報告中引用的勞保年金平均月領金額約37,500元過高,然事實上是該數字包含了勞工保險(勞保)老年給付與勞工退休金(勞退),且大多數勞工實際上無法領到那麼高的金額,因為許多人工作期間經歷
中國時報

運動家球團與球迷長期對抗之後,最終老闆費雪(John Fisher)大獲全勝,成功遷移球隊到美國內華達州的拉斯維加斯,球團的官方X帳號相隔659天首度開放網友留言!運動家官方帳號從2024年1月20日開始封鎖網友留言,直
自由時報

高雄市長陳其邁今於個人臉書臉專PO出過去與立委蘇巧慧在立法院當同事的合照,支持蘇巧慧參選新北市長,蘇巧慧今接受媒體聯訪回應時,謙稱陳其邁為「政治上的學長」,高雄進步得非常快,未來希望能夠學習,除了感謝他的發文鼓勵,還幽默表示「他照片可以選得再漂亮一點。」
聯合報

離古城牆僅50部的誠品書店,下周即將試營運。誠品書店繼屏東東港王船限定店今年4月開卷啟航,再度向南推進拓展文化航線,11...
壹蘋新聞網

【記者呂承哲/台北報導】工業電腦大廠研華(2395)公布2025年10月合併營收為新台幣60.16億元,月減3.09%、年增8.7%。累計今年前10月營收589.77億元,年增20.34%。
TVBS

家中的日常用品,竟可能暗藏健康危機?美國長壽醫師雪恩(Dr. Shayne Keddy)在TikTok提醒,多數人家中都有的「4物品」,其實會悄悄干擾荷爾蒙,影響睡眠,破壞免疫系統,建議立刻丟掉。
經濟日報

要撿點便宜買支勞力士(Rolex)的日子恐怕所剩無幾,想買名表的人,可以考慮卡地亞(Cartier)或歷峰集團旗下的積家...
ETtoday

高雄一名劉姓男子將車暫停路邊時,見有名泥醉女子誤上自己的車,竟將錯就錯,將女子載到摩鐵性侵,事後被女子告上法院,劉男急忙拿出4萬元和女子調解,一審劉男遭判3年4月,劉男又拿出15萬和女子再和解1次,希望能獲緩刑,二審法官認為他態度良好,改判他3年1月徒刑。可上訴。
中央社
副總統蕭美琴結束訪歐行程今天清晨搭機返台,前總統蔡英文昨晚搭機出訪德國出席「柏林自由會議」。總統賴清德說,台灣是國際社會可信賴夥伴,將與歐洲及所有理念相近的朋友站在一起,持續向世界展現台灣人守護民主自由的信念與決心。
TVBS

47歲沈姓女子深夜酒駕撞車,連環撞擊3輛汽機車!事發台中北屯東山路,沈女駕駛黑色轎車偏離車道,先後撞上路邊停放車輛,車頭嚴重毀損,車牌掉落,1輛機車倒地,而被撞轎車左側車尾凹陷。肇事者酒測值超標,因公共危險罪被警方移送,同時也因事故本人多處受傷送醫。警方呼籲切勿酒駕,以免造成無可挽回的悲劇。
TVBS

金鐘影帝陳亞蘭近日當選國立臺灣師範大學GF-EMBA校友會第二屆理事長,展現其在「時尚、管理、藝術、公益」的跨界實踐。她呼籲校友捐款助花蓮災情,並率先捐出六位數新台幣,號召參加「公益愛行腳徒步環寶島」活動,實踐「美在心中、善在腳下」的理念。陳亞蘭的就任典禮中感謝前理事長周珊旭,強調將凝聚校友力量,開拓新機會。
自由時報

有基隆市民向市府反映,網路上出現招募「2026基隆跨年晚會」現場工作人員資訊;基隆市文化觀光局澄清,「基隆年終晚會」將於12月20日辦理,但是未對外招募工作人員,這是不實內容,請民眾提高警覺,切勿上當!若有疑問請打(02)24224170分機405羅小姐查證。詐騙集團疑似看好中央普發現金一萬元,近日不少人手邊都有閒錢,又想方設法想騙個資。
中央社
軍事粉專「Taiwan ADIZ」指有艘可疑的蒙古貨輪近日在台灣外海流浪逾1個月;海巡署今天表示,全程監控其動態,已於昨晚航出台灣鄰接區外。
經濟日報

進入11月,中國大陸也進入「秋季外交」高峰,多國元首及外長將接連訪問中國。其中,泰國國王瓦吉拉隆功將於周四展開中泰建交5...
聯合報

進入11月,中國大陸也進入「秋季外交」高峰,多國元首及外長將接連訪問中國。其中,泰國國王瓦吉拉隆功將於周四展開中泰建交5...
自由時報

副總統蕭美琴出席對中政策跨國議會聯盟(IPAC)布魯塞爾年會,在歐洲議會發表演說,達成台歐外交的大突破,期間駐歐盟兼比利時代表謝志偉、外交部政務次長吳志中付出了不少努力。吳志中今(9日)在臉書表示,蕭美琴此次訪歐之行,真的要感謝駐歐盟謝志偉大使來電指稱「如過蕭副總統不來那就太可惜了」,隨後外交部長林佳龍也指示可以試試看,賴清德總統則建議全力以赴,過程中外交部參與同仁將士用命日夜不停展開無數協商。
聯合報
民進黨迎戰2026大選,台南市、高雄市及嘉義縣等3個縣市首長提名初選,10日至14日領表登記,明年1月12日至17日進行...
中國時報

有「台中超狂媽媽」之稱的陳美妃,去年間她因飆罵「垃圾保全」遭保全持藤椅做勢追打,她持雨傘攻擊,雙方互控傷害,一審台中地院判決陳拘役45日、可易科罰金;保全則拘役35日。陳不服提上訴,台中地院高分院認定陳「
工商時報

從聯邦薪資到公共福利,美國史上最長的政府停擺正在切斷數以百萬計美國人的生活命脈,其中許多人都是總統川普的支持者。 但路透社訪問5位川普選民顯示,儘管政府停擺打亂生活,他們對川普的施政評價並未因此降低。 民主、共和兩黨都擔心停擺的政治後果,但路透社對這組川普選民的訪談顯示,停擺事件並未改變原有的意識形...
NOWnews
NBA美國職籃(National Basketball Association)多倫多暴龍前鋒英格拉罕(Brandon Ingram)在今(9)日對上費城76人隊的比賽中情緒失控,因不滿裁判吹罰而怒摔水瓶,...
NOWnews
台中再傳國際捷報!台中市政府以創新思維推動城市品牌行銷,「台中購物節」以主題「One City, One Festival, Infinite Impact」參賽,榮獲美國TITAN泰坦創新大獎最高榮...
經濟日報
台糖、台電等國營事業開缺,起薪新台幣4.6萬元,吸引逾萬人報考。經濟部所屬事業機構114年新進職員甄試今天在台北、台中、...
經濟日報
匈牙利今天表示,匈牙利可繼續使用俄羅斯石油與天然氣,美國給予的制裁豁免沒有限期;但白宮1名官員重申,豁免期限僅有1年
經濟日報
颱風「鳳凰」今天增強為超級風暴。這個暴風半徑幾乎籠罩整個菲律賓的強颱,預計將於今夜或明早登陸呂宋島奧羅拉省,菲國當局已撤...
經濟日報
民進黨迎戰2026大選,台南市、高雄市及嘉義縣等3個縣市首長提名初選,10日至14日領表登記,明年1月12日至17日進行...
ETtoday

國民黨主席鄭麗文昨參加「白色恐怖秋祭追思慰靈大會」,追思前高階共諜吳石,引發輿論譁然。對此,有意爭取民進黨高雄市長提名的立委邱議瑩今(9日)表示,國民黨高雄市長參選人柯志恩,再度擔任鄭麗文指派的高雄市黨部主委,選擇與中共路線唱和,已是不爭事實,支持柯志恩,就是支持鄭麗文的路線。
NOWnews
立委蘇巧慧日前獲民進黨選對會徵召參選新北市長,反觀藍白合進程卡關,對此蘇巧慧今(9)日受訪時被問及是否預設李四川或黃國昌作為對手,蘇巧慧回應,自己準備新北市...
經濟日報

國立臺北大學企業管理學系於11月8日隆重舉辦「75週年系慶之夜」,邀請校內外貴賓齊聚一堂,共同見證企管系跨越時代的榮耀時刻。出席嘉賓包括校長林道通、學術副校長陳宥杉、行政副校長張玉山、校友總會理事長許明仁、商學院院長黃啟瑞、系友會理事長古永嘉,以及名譽教授黃營杉(前經濟部長)、吳智教授、梁世安教授等,場面溫馨而隆重..
中國時報

新北市長侯友宜任期將屆,民進黨正式徵召立委蘇巧慧出征,被視為藍營長期執政地盤的新北市。蘇巧慧9日現身「大秉叔叔氣墊樂園」活動,受訪談及高雄市長陳其邁在臉書發文力挺,她笑言「有點不好意思,但真的很感動」
工商時報

星宇航空昨天香港返台航班,起飛前發現系統訊號異常停機檢修,旅客安排入住飯店休息,改搭今天航班返台。 根據外媒報導,星宇航空昨天香港-台北航班起飛前疑似液壓系統故障,繞行香港機場一圈後返回停機坪,最後航班宣布取消。 對此,星宇航空說,昨天JX236香港-台北航班,原訂於當地時間8日晚間7時45分起飛,...
風傳媒

美國眾議院前議長南希·裴洛西(Nancy Pelosi)宣布從國會退休,結束了她數十年來成為美國政壇最有影響力人物之一的職業生涯。裴洛西在週四發布的一段影片訊息中表示,她將不會在2027年1月任期結束時尋求連任國會議員。這標誌著一位傳奇政治生涯的終結:85歲的裴洛西成為美國首位女性眾議院議長,並從2003年至2023年領導民主黨在眾議院的勢力。她在訊息中說:......
鏡週刊

1艘蒙古籍貨輪沿台灣海峽北上,靠近我國海纜區,意圖不明,海巡署今(9)日發布新聞稿,該署在蒙古籍貨輪航行期間均全程監控,目前確認該船已航行離開我國鄰接區。
鏡週刊

前立委邱毅昨(8日)在臉書發文,表示親眼目睹國民黨主席鄭麗文出席馬場町秋祭活動時,手持花圈向白色恐怖受難者靈前三鞠躬的一幕,令他當場落淚。他強調,那一鞠躬象徵70多年來冤魂終於得到安慰,並大讚鄭麗文「是真正的女英雄」。