三立新聞
川普開會又在睡!照片曝光 他酸:瞌睡唐

美國總統川普(Donald Trump)昨(7)日在白宮宣布醫療政策時,被拍到當場打瞌睡,畫面曝光後引發熱議。加州州長紐森(Gavin Newsom)更在社群平台上發文嘲諷:「瞌睡唐回來了!(DOZY DON IS BACK!)」
這是第 1 頁,共 866 頁
三立新聞

美國總統川普(Donald Trump)昨(7)日在白宮宣布醫療政策時,被拍到當場打瞌睡,畫面曝光後引發熱議。加州州長紐森(Gavin Newsom)更在社群平台上發文嘲諷:「瞌睡唐回來了!(DOZY DON IS BACK!)」
中央社
前總統蔡英文將於10日出席「柏林自由會議」(Berlin Freedom Conference)並發表演說,今晚從桃園國際機場搭機飛往德國法蘭克福,過程並未受訪,僅向媒體微笑揮手致意。
聯合報

重光盃全國少棒錦標賽今天於新冠名的「青年公園謝國城紀念棒球場」舉行,開幕戰高雄壽天國小以7比5擊敗台南立人國小。主辦單位...
風傳媒

朝野立委於6日針對「停砍年金」進行初審,就公教人員退休相關條文展開激烈攻防。教育部長鄭英耀日前受訪時表示,自己與執政黨立場一致,盼維持年金改革的推動,並稱「大部分老師退休後都有很好的生活安排,或寄情山林或旅遊走讀,認識各種文化風采,定期跟朋友聚會歡唱,也有含飴弄孫。」全國教育產業總工會(下稱全教產)今(8)日怒轟鄭英耀,所言所行是對教育人員退撫基金及退休權益......
自由時報

隨著輝達(NVIDIA)執行長黃仁勳近日來台參訪台積電3奈米製程,再度讓「南科效應」成為焦點。南部科學園區在AI與半導體產業帶動下,不僅吸引全球目光,也帶來新一波人口移入與教育需求的挑戰。南市教育局指出,目前南科園區周邊教育資源相當完備,除蓮潭國中小外,鄰近尚有南科實驗高中國中部、善化國中與新市國中等學校,形成完善的教育網絡。善化、新市國中目前仍有招生名額,而國小階段學校也尚未額滿,整體足以支應園區家庭子女的就學需求。
TVBS

馬來西亞網紅Hazren Rich Empire近日在餐廳用餐時開直播,拍攝到隔壁俄羅斯籍模特兒Alisa Kasimova,並且對她「開黃腔」,說了「好想摸一下」等出言不遜,讓不滿Alisa Kasimova決定報警。
自由時報

日本水利工程師鳥居信平在100多年前為屏東平原打造兩座伏流水圳,至今仍然供水,屏東縣政府今天舉辦「力里圳」百年落成紀念活動,鳥居信平之孫鳥居徹、鳥居信平故鄉靜岡縣岱井市前市長原田英之特別來台參加,屏東縣長周春米和他們一同步入溪床,直擊藏在石壁中的進水塔,聳立溪床的雄偉建物,看似遺世獨立,卻成為「供水一世紀」的最好保護。鳥居信平曾是台灣製糖株式會社(現今台糖)工程師,為灌溉屏東平原,先後在來義鄉及春日鄉打造二峰圳及力里圳供水。現為枯水期,力里溪逕流面縮小,周春米和鳥居徹、屏東科大名譽教授丁澈士、屏東大學特聘教授林思玲及原田英之等人深入溪床,一睹被溪岸及樹木掩蓋的進水塔,矗立溪畔的建物巧妙利用岩壁地形,保護進水塔不被溪水侵蝕,百年不斷供,從溪床拔地而起的雄偉建物相當令人震撼。
自由時報

前名模蕭瑋葶與身障關懷協會前理事長、胞兄蕭靖及妻子陳女,被控侵占身障協會公款1億多元,士林地檢署8月11日起訴蕭女等3人,蕭女被士院裁定羈押禁見。蕭女提抗告,指稱因「法警人力不足、負責科技監控的廠商請假」等情形,被拒絕辦理交保,高等法院認為有再調查釐清必要,日前撤銷原裁定,發回士院更裁。士檢偵辦身障協會款項遭侵占案,今年4月間曾聲押蕭女獲准,蕭女聲請具保停押,士林地院8月5日裁定蕭女新台幣300萬元交保,限制出境、出海,並接受科技設備監控,但未完成交保手續。
自由時報

美國總統川普下令美軍在加勒比海、太平洋執行軍事打擊毒品走私行動,遭質疑合法性。法國總統馬克宏7日訪問墨西哥時,含蓄地批評美國的軍事反毒行動,他表示,打擊毒品走私行動,都必須尊重所有國家的主權。《法新社》7日報導,馬克宏在墨西哥市與墨國總統薛恩鮑姆(Claudia Sheinbaum)召開共同記者會,被問到美國打擊毒梟以及外傳也會在墨西哥採取類似行動,馬克宏表示,他和薛恩鮑姆討論了這個議題,「打擊毒品走私者是讓我們團結一致的事」,但是這類行動「必須取決於主權國家之間的合作,並且尊重彼此的主權」。
工商時報

【中時新聞網 栗筱雯】繼工作簽證H1-B施加新規之後,美國川普政府移民政策又有動作。川普6日在白宮得意宣布減肥藥品大降價這天,他還發布了另一項與外國人申請美簽有關的指令。美國各地外館6日接獲通知,發放簽證新增多項必須考量的拒簽理由,包括年齡與多種可能引發增加「公共負擔」的疾病,例如糖尿病、心血管疾病...
NOWnews
11月起4大生肖財運爆發!根據《搜狐網》生肖運勢專欄指出,屬虎、蛇、馬、猴的人財氣特別旺,投資、事業都有亮眼表現,不僅眼光精準、行動果斷,也懂得把握時機,年終...
聯合報
今彩539第114271期開獎,中獎號碼34、07、08、26、09;派彩結果,頭獎槓龜
經濟日報
今彩539第114271期開獎,中獎號碼34、07、08、26、09;派彩結果,頭獎槓龜
聯合報

美聯社報導,距離美國感恩節剩不到三周,民眾今年會在購買火雞和裝飾品方面花多少錢成為一個重大問題,特別是在食品雜貨比去年上...
經濟日報

美聯社報導,距離美國感恩節剩不到三周,民眾今年會在購買火雞和裝飾品方面花多少錢成為一個重大問題,特別是在食品雜貨比去年上...
中國時報

全聯福利中心由於商品齊全,加上門市開遍各地,是許多民眾採購日常生活用品的地方。然而近日有一名網友發文表示,瑞穗鮮乳出了綠色包裝,好奇跟原本的差在哪?文章曝光後,大多數都推綠色版,「之前看過醫生推薦這罐
三立新聞

把佛堂當提款機!高雄市一名王姓女子,在正德佛堂擔任出納人員,短短2年,竟然透過填寫空白支票並盜用印章方式,侵佔高達4545萬元公款。創辦人發現帳目不符,全案曝光,王女已經將錢花到只剩79萬元,案經高雄地院審理後,依偽造有價證券罪,判處8年徒刑,並追徵4千多萬元犯罪所得。
風傳媒

為保障外送員權益,立法院將審議《外送員專法》,立院各黨團也陸續提出專法草案。對此,民眾黨立委張啓楷日前於「外送平台管理暨從業人員權益保障法草案」及「外送員權益保障及外送平臺管理法草案」公聽會中呼籲,希望能在本會期完成專法三讀,中央拖延太久了,民進黨應盡快補破網。張啓楷表示,「外送平台管理暨從業人員權益保障法」和「外送員權益保障及外送平臺管理法」的訂定非常急迫......
聯合報

國民黨主席鄭麗文8日下午出席紀念白色恐怖時期的政治受難者的活動,主辦單位也將共諜吳石納入照片牆中成為一員,為此陸委會晚間...
聯合報

行政院已核定台灣2035年國家自定減碳貢獻標準,設定2035年國家溫室氣體淨排放量相較基準年(2005年)減少36%至4...
經濟日報

國民黨主席鄭麗文8日下午出席紀念白色恐怖時期的政治受難者的活動,主辦單位也將共諜吳石納入照片牆中成為一員,為此陸委會晚間...
聯合報
陽明交大校友發起「跨世代熱音演唱會」,今天由11組老中青樂團在台北輪番登台搖滾,譜出一場難得的世代對話音樂節,讓音樂成為...
三立新聞

台灣羽球傳奇名將「小戴」戴資穎昨(7)日在臉書震撼宣布「高掛球拍退役」,結束球員生涯。其實在去年年底膝蓋動刀後便有跡可循,因為戴資穎再沒有出戰任何國際賽事;粉絲相當不捨,同時也給戴資穎最溫暖的祝福,現在知名英國球評也發文感念,「她更值得被銘記的,是那份不論輸贏、始終如一的體育精神。戴資穎博士,退休快樂。」
自由時報

台北市計程車駕駛員職業工會發言人李威爾,近期在臉書PO文指台中一名罹患大腸癌計程車司機,因所屬契約車行不再續約,向台中市政府陳情求助未果,李威爾指控盧市府不能保護弱勢司機。台中市交通局表示,市府重視駕駛工作權益與車行營運規範,上週接獲該司機通報就積極了解事發原委,針對駕駛與車行爭議,已請台中市計程車客運商業同業公會出面參與協處,公會理事長陳寬宏正主動與車行積極協調中。李威爾PO影片指,該司機罹患大腸癌第三期,仍努力開車要養孩子,行費、保險、罰單都有繳,與靠行車行5年契約將在11月屆期,但對方不予續約,因此向交通局陳情,交通局則以沒有靠行契約書為由,愛莫能助。
聯合報
中國文化大學今天舉辦「2025華岡校友返校節」,今年2月獲得傑出校友頭銜的奧運拳擊金牌得主林郁婷,與超過1000名校友一...
NOWnews
歌手曾沛慈今(8)日首次站上台北流行音樂中心,舉辦「關於愛這件事」巡迴演唱會台北站,吸引超過4000名歌迷擠爆現場。開場她身穿白色禮服坐在佈滿花朵的鞦韆上,宛如...
ETtoday

日本各地除了九州、沖繩以及本州的千葉縣外,陸續發生熊襲人事件,今年已造成累積13人死亡。為了防範意外,當地三大便利商店品牌——7‑Eleven、全家(FamilyMart)及羅森(LAWSON)——都啟動相關安全措施。
聯合報
現年90歲的黃春明至今筆耕不輟,最新小說集「山爺」今天在台北博客來書店舉行新書發表會,黃春明說「我還會繼續寫下去」
中央社
重光盃全國少棒錦標賽今天於新冠名的「青年公園謝國城紀念棒球場」舉行,開幕戰高雄壽天國小以7比5擊敗台南立人國小。主辦單位表示,若遇颱風攪局,決賽可能移師「大魯閣」。
聯合報

台灣第一個自製星系「福爾摩沙衛星八號」第一顆「齊柏林衛星」(FS-8A),原預定於台灣時間11月11日凌晨2時18分,搭...
聯合報

暢銷書「富爸爸窮爸爸」作家羅伯特・清崎8日在X發文,先預祝大家感恩節快樂,隨後表示,若在佳節時分被解僱將痛苦難當,好險他...
經濟日報

暢銷書「富爸爸窮爸爸」作家羅伯特・清崎8日在X發文,先預祝大家感恩節快樂,隨後表示,若在佳節時分被解僱將痛苦難當,好險他...
三立新聞

新竹市立棒球場的重啟時程一變再變,確定已來不及排入明年(2026年)的中華職棒賽事賽程。高虹安市府上任以來多次對外承諾「2025年重啟棒球場」的支票確定跳票,更傳出職棒球團味全龍來公司不堪長期營運虧損,正在研擬與市府解約,不再以新竹球場作為其雙主場之一。
自由時報

11月8日開獎的第114000271期今彩539頭獎摃龜。第114000271期今彩539中獎號碼為「07、08、09、26、34」,頭獎摃龜;貳獎共275注中獎,每注可得2萬元;參獎共8303注中獎,每注可得300元;肆獎共8萬6835注中獎,每注可得50元。
中央社
今彩539第114271期開獎,中獎號碼34、07、08、26、09;派彩結果,頭獎槓龜。
自由時報

連接台東縣內池上鄉、關山鎮的「池上大橋」正由交通部公路局進行改建工程,公路局今(8日)說明,會力拚北上線在明年農曆年前完工並通車;南下線將在2027年3月完成、四月雙向通車。池上大橋位於花東縱谷平原,橫跨卑南溪,串聯台東縣池上鄉與關山鎮,是縱谷地區台9線上極為重要的交通幹線。現在既有的橋梁年久及抗洪、耐震標準不足,因此優先改建。
NOWnews
《NOWNEWS今日新聞》整理了今(8)日娛樂焦點:范姜彥豐與粿粿的婚變風波持續延燒,近日又突然出現疑似王子與粿粿的相擁裸照被瘋傳,名嘴還出面對比粿粿家背景,幾乎一...
風傳媒

桃園國際機場建設邁入新里程!行政院長卓榮泰今(8)日上午前往桃園國際機場,實地視察第三航廈北登機廊廳工程進度,了解最新施工情況。北登機廊廳預計於年底完工啟用,屆時旅客可直接由此廊廳銜接第二航廈完成出入境手續;而第三航廈主體及南登機廊廳則預計於2027年底陸續完工並投入營運測試。北登機廊廳設計亮點,如何縮短搭機流程?行政院指出,北登機廊廳設計兼具「開放性」與「......
工商時報

華航(2610)在2025台北國際旅展首(7)日銷售開紅盤,機票銷售張數較去年同檔旅展成長10%,新會員人數增加逾2,000名。華航表示,接下來將迎來跨年、寒假及春節出國潮,預估三日旅展買氣續旺。 華航展區主打鳳凰城等全新航線與聯航合作亮點,民眾購票可抽機票,現場購買豪經艙以上機票,還有機會獲得So...
工商時報

美國參議院民主黨領袖舒默(Chuck Schumer)7日向共和黨提出新提案,試圖為10月1日開始、已創下美國史上最長紀錄的政府停擺畫下句點,共和黨迅速回絕舒默的方案,但也承認協商出現進展。 舒默的提案包含三大重點,其一是將加強版《平價醫療法案》(ACA)中的保費稅收抵免延長1年,稅收抵免將於12月...
中國時報

中度颱風鳳凰持續增強,同時速度也不斷加快,目前以每小時35公里速度持續朝菲律賓呂宋島前進,並在登陸後北轉直撲台灣,由於路徑不斷西修,登陸地點也不斷北移,恐將從中部登陸,對北部影響大增,暴風圈侵襲北市機率
自由時報

中華電信與子公司智趣王數位科技共同主辦的「2025 FunPark童書星創獎」今天(8日)舉辦總決賽暨頒獎典禮,本屆賽事由歷時12年的「FunPark創意說故事數位繪本創作大賽」升級為「獎」的規格與高度,並首度增設「出版組」獎項,為全台首座針對專屬數位繪本推出的大型賽事。中華電信董事長簡志誠表示,今年參賽作品展現無限可能性,反映台灣在數位內容創作上的持續成長,中華電信將持續扶植台灣原創與出版內容,為文化產業注入新動能。
工商時報

AI相關科技類股估值過高抑制投資人風險胃納,美股三大指數7日漲跌互見,科技股雲集的那斯達克指數持續軟腳,周線創下4月以來最大跌幅。美國政府關門寫下史上最長紀錄,兩黨能否化解歧見牽動美股走勢,市場密切關注事態發展。 美股三大指數7日盤中一度直線下滑,所幸終場前跌勢收窄,道瓊工業指數奮力收紅0.2%,報...
自由時報

出國前別忘了幫隨身攜帶的電子產品「充飽電」!英國多家航空公司及機場近期提醒旅客,若手機、筆電或平板等電子設備在安檢時無法開機,可能被視為安全疑慮而不得攜帶上機。《每日郵報》報導,旅客在登機前須確保隨身攜帶的電子設備,如手機、筆記型電腦與平板電腦,都有足夠電量並且能正常開機。機場安檢人員有權要求旅客啟動設備以證明功能正常,若設備無法開啟,將不允許帶進機艙。
中國時報

衛福部長石崇良日前宣布健保補充保費改革方案,擬將股利、利息與租金等收入從單次採計改為年度結算,預計每年可增加一、兩百億健保收入,未料引來廣大股民抗議,幾個小時後即遭行政院急踩剎車,要求暫緩。台灣一年健
中國時報

繼工作簽證H1-B施加新規之後,美國川普政府移民政策又有動作。川普6日在白宮得意宣布減肥藥品大降價這天,他還發布了另一項與外國人申請美簽有關的指令。美國各地外館6日接獲通知,發放簽證新增多項必須考量的拒簽理
三立新聞

舞台王者郭富城 1990年以國語專輯《對你愛不完》在台灣出道,適逢出道35 週年之際,於11月8日、9日帶著 「星展銀行-郭富城ICONIC 世界巡迴演唱會」首度唱進高雄巨蛋,今(8)日首場正式登場。相隔近一年再次回到台灣,郭富城準備誠意十足的歌單與全面升級的舞台設計,帶給台灣歌迷充滿震撼的視覺與聽覺盛宴,精心挑選的歌單更是滿滿回憶殺,讓今晚的高雄巨蛋變身大型KTV,掀起熱烈合唱。
壹蘋新聞網

【娛樂中心/綜合報導】黃明志捲入網紅謝侑芯命案,身上搜出9顆藍色藥丸,且體內驗出4種毒品,涉及持毒、濫用毒品2罪名,據馬來西亞《中國報》報導,若罪名成立,他在大馬恐面臨2年以上、鞭刑至少3下等刑責。《震震有詞》節目邀資深媒體人林裕豐剖析鞭刑,他表示「真的很可怕,把人綁成X形,讓他無法用核心力量給蓄積,完全是最裸露的狀態,把你褲子脫下來,有些人會被鞭到暈倒」。
TVBS

國軍的C-130運輸機隊,平均服役30年,但是任務一樣繁重。原先空軍編列預算,要為C-130延壽升級的計畫,如今面臨報價激增的問題;同時換裝新發動機的計畫,也因美軍打消相關研發動作,恐怕難以實現。因此消息指出,空軍著手規畫採購10架全新C-130J「超級大力神」運輸機,以此直接更新機隊。
TVBS

健保署最新公布資料顯示,去年全台健保藥品給付金額突破2536億元,其中使用人數最多的是成分為「乙醯氨酚」的止痛藥,達919萬人,堪稱全民最常服用藥品;若以藥品使用量計算,排名第一的則是糖尿病相關藥物,一年開立逾6.5億錠。醫師指出,隨著人口老化、長期久坐、姿勢不良與運動不足等問題普遍,慢性疼痛人口急速上升,止痛藥需求也年年攀升。
TVBS

台灣失智症患者數量逐年攀升,65歲以上長者失智症盛行率達7.99%,輕度失智佔比近三成,對許多家庭而言是一大挑戰!目前市場上針對輕度失智症的保險商品有限,僅少數保險公司提供相關保障。黃杲傑分享照顧失智症親人的經驗,強調失智症發展速度可能很快,讓他開始關注自身保險規劃。保險業務區經理邱雅挺建議民眾可搭配年金式商品,並根據自身條件選取適合方案。金管會表示,保險業者正設計一年期輕症保單,未來將研議鼓勵配套措施。保險法律師劉北元提醒,輕症保單如何在避免浪費醫療資源的情況下,又能確保保戶權益,將是一個需謹慎平衡的課題。
經濟日報

國立臺南藝術大學(南藝大)成功結合學術與地方能量,透過教育部114年度USR(大學社會責任)計畫,與臺南市立官田國民中學協辦,於11月8日隆重啟動藝術展覽《踅,有光ê所在》Se̍h—The Light Comes from the Land。這項以「光」為核心的藝術行動,不僅將校園資源導入社區,更透過藝術創作串聯地方記憶與夜間生活,為官田地區帶來全新的文化聚焦點。
台視新聞

台彩今(8)日開出今彩539、39樂合彩、三星彩、四星彩獎號。晚間派彩結果出爐,頭獎槓龜無人中獎;貳獎則開出275組,每注獎金2萬元。今彩539貳獎開出275注。圖/翻攝自台彩官網派彩結果及中獎號碼以台彩官網公布為主。責任編輯/蔡尚晉
TVBS

年邁阿公阿嬤帶著2歲孫子在宜蘭礁溪五峰旗風景區散步時,發生了驚險的意外事件。他們準備返回台北時,孫子不慎被反鎖在車內,嚇得嚎啕大哭。阿公心急如焚,立即報警求助。警方趕往現場途中,竟遇到山道猴霸占道路,必須鳴笛驅趕。最終,在警消人員細心破窗救援下,孩童安全獲救,一家人終於鬆了一口氣。
TVBS

趙露思揮別生病陰霾,憑藉陸劇《許我耀眼》再次爆紅,但她日前因合約糾紛與經紀公司「銀河酷娛」撕破臉,外界預估解約金將高達人民幣4億元(約新台幣16.5億元)。她的工作室於7日發布貼文表示「新程已啟,前路燦爛,這一次,我們重新出發。」讓外界推測她已解決過往的合約爭議,即將宣布新東家。
聯合報

成立於西元1849年的法國經典品牌MOYNAT向來以高品質、高辨識度的皮件包款知名,在台灣並僅有Bellavita寶麗廣...
鏡週刊

「打一鞭就半死,皮肉裂開。」馬來西亞歌手黃明志近日被爆捲入網紅謝侑芯猝逝案,案件現已轉以謀殺罪方向偵辦,震驚兩地娛樂圈。隨著事件持續發酵,當地的鞭刑制度再度被民眾熱議,就有媒體人親揭鞭刑的「恐怖過程」。此外,也有不少人關注這項極具爭議性的刑罰是否應被保留。
TVBS

天氣轉冷,紫色羽絨外套重新被從衣櫃拿出來了~朴寶劍作為 The North Face 品牌大使,最新分享社群照一曝光立刻引發熱議。他身穿一件柔霧紫羽絨外套,意外撞衫「阿姨輩最愛穿的紫色外套」!雖然顏色帶有濃濃長輩感,但在朴寶劍的神顏與暖笑詮釋下,反而成為時尚圈最討論的反差穿搭。粉絲們紛紛留言「戀愛了」、「他連媽媽色都能駕馭」原來時尚的完成度真的在於臉!
自由時報

高雄擁有全國最完整的16族原住民族文化資產,「2025 TAKAO豐潮」原住民族聯合豐年節,今年創歷年規模最大,今(8)日傍晚於衛武營登場,市長陳其邁身穿傳統服飾,加入千人圍舞行列,氣氛熱烈。高市府自2020年舉辦高雄豐潮至今已6屆,本屆活動匯集49個社團展演,並規劃「舞都力」樂舞競賽、全國最大原民市集及文化體驗等活動,更推出烤豬派對、原民伴手禮競賽等特色活動;「豐潮之夜」更邀請金曲歌手阿爆、舞炯恩、舞思愛等嘉賓熱力開唱,打造精彩豐富的原民文化盛會。
自由時報

美國民主黨歷經去年大選大挫敗後,終於在本週一連串選舉中透露出一些重振跡象,加州州長紐森(Gavin Newsom)也因這一波成功逆襲,往前邁進鞏固他身為這個美國反對黨實質領袖的地位,也提高他可能代表民主黨角逐2028年總統大選的聲勢。《法新社》8日報導,紐森主導推動攸關加州國會選區重劃的公投案,4日獲選民大幅度支持通過後,他隨即呼籲其他民主黨執政州跟進。該公投案是反制總統川普主導、對共和黨有利的德州國會選區重劃,旨在讓2026年期中選舉公平競爭,而民主黨希望從共和黨手中拿回聯邦眾議院的控制權。紐森說,若民主黨明年能奪回眾議院,「我們就能實質上終結目前所見川普的執政」,「這是攸關一切的成敗」。
Newtalk

2025年台灣最大的WordPress社群盛會「WordCamp Taiwan」,首度移師南台灣舉辦,11月7日至8日在高雄亞灣新創園、高雄展覽館登場,吸引超過200名與會者共襄盛舉,其中多數會眾來自高雄以外的縣市,並吸引來自香港、新加坡、馬來西亞、中國、日本、泰國、美國、拉脫維亞等地的國際講者與參
聯合報
一群旅美的台灣醫師組成義診團,近日赴台灣友邦貝里斯為當地居民免費看診,4天看診2000人次,完成50例外科手術,洗牙及牙...
自由時報

台南市有108個農村再生社區,六都第一,今天(8日)在後壁區菁寮老街舉辦農村再生成果嘉年華,以「風起再生、農聚台南」為主題,透過農村市集、廚師料理秀、胡麻食農教育主題展覽、DIY體驗,展出農村再生的具體成果,參展的農再社區推出新產品、新包裝,展現農創價值,不只農村再生,更是農村創生,提高農村收益,現場相當熱鬧。台南市副市長葉澤山說,台南108個農村再生社區,在後壁區就有11個,後壁更是金牌農村搖籃獲得農業部肯定,台南經歷丹娜絲風災重創後,不少農再社區受到挑戰,但也看見農村的韌性,農再成果展整合農村再生、胡麻輔導計畫和金牌農村計畫,展現產業、文化和藝術的多元風貌,呈現農村再生社區的凝聚力與行動力。
中國時報

2025年世界互聯網大會烏鎮峰會「海峽兩岸暨港澳互聯網發展論壇」8日下午舉行。緯創軟體大陸事業群總經理劉建民在與談中警告,隨著量子科技加速成熟,人類現有的加密體系正面臨前所未有的威脅,「2030年如果沒有完成
NOWnews
景碩第三季營收季增8.2%、年增26.3%,毛利率18.96%,略低於市場預期,展望第四季,法人機構預估EPS為1.3元,全年預估為3.4元。
NOWnews
日本今年熊害相當嚴重,至今已有13人遭熊襲擊死亡,而熊攻擊的場面也是令人膽顫心驚。山形縣7日一間山區溫泉旅館遭熊闖入,櫃檯、廚房、和室全都遭到嚴重破壞;北海道6...
Newtalk

以我在股市混了幾十年的小本經營,台灣抽取兩萬元以上股息的2%來作為補充保費,基本上捱不到我,所以不大關心這問題。然而有些中大戶為了避免交稅,他們卻會在除權息以前把股票出掉給股市造成壓力而影響該股票的走勢。但是我的股息還是被台北柯市政府盯上,說我是「富戶」而刪除我每個月三千多元的老人金。其實我玩股票是
自由時報

角逐台南市長寶座,民進黨內初選成為首場關鍵戰!民進黨立委林俊憲今(8)日舉辦「安南後援會」成立大會,展現強大動員力與高昂士氣。值得注意的是,安南區長期被視為黨內另一位強勁對手、立委陳亭妃的重要票倉,此舉被外界解讀為「插旗拔樁」意味濃厚。林俊憲表示,安南區是台南第2大行政區,人口成長快速、外來人口多,是未來城市發展重點。他強調,自己有完整的區域發展藍圖,將安南打造成台南北向擴張的重要引擎,前途無可限量,「一定要爭取選民最大支持。」
NOWnews
「2025桃園亞洲職棒交流賽」今(8)日持續在桃園球場舉行,中華職棒樂天桃猿以3:1擊退日本職業棒球(NPB)東北樂天金鷲。此役金鷲3台將皆有上陣,陽柏翔持續先發,繳...
中國時報

台灣網紅「護理系女神」謝侑芯命案,目前馬來西亞警方以「謀殺案」全力展開調查,包含家屬、親友都盼望真相能早日釐清。謝侑芯生前的好閨密謝薇安,在第一時間立刻飛往當地試圖協助好友後事,探望對方最後一面,怎料
NOWnews
P.LEAGUE+富邦勇士今(8)日在主場舉行開幕戰,不僅球場氣氛沸騰,啦啦隊Fubon Angels更迎來重磅驚喜,有「釜山女神」之稱的李晧禎暌違近一年再度回歸,與南珉貞、李雅...
聯合報
宜蘭利澤國際偶戲藝術村、白米木屐村等5處場域為文化部「百大基地」,文化部長李遠今天訪視時表示,這群中壯世代返鄉工作,認同...
三立新聞

南投埔里驚傳飛行傘意外!有網友上傳一則影片,拍下兩具飛行傘在半空中疑似發生擦撞,隨後傘具糾纏並一同墜向山林,引發熱議,「連空中都有三寶」。
自由時報

台南市某警分局傳出職場霸凌風波,女警與內勤警員長期有工作摩擦,8月初突然被「鎖」在分局停車場外,認為遭到羞辱,分局強調依程序受理申訴,7日下午已由三名外聘委員完成初步審查,後續將投票是否成立霸凌案。事件起於該分局地下室停車場的出入管制,要進入地下室的車輛,須事前向行政組內勤男警登記車牌,若辨識系統內無車牌紀錄,便無法開啟閘門;自認遭霸凌的女警認為,男警員因管理車牌辨識系統,以刪除車牌捉弄女警而心生怨懟。
工商時報

從經典搖滾到新世代原創音樂,音浪一波接一波,讓現場數百名聽眾熱血沸騰。這場由陽明交大傑出校友李良猷發起的「PULSE Generations 跨世代熱音演唱會」,今天下午在花漾Hana展演空間,由十一組老中青樂團輪番登臺搖滾,不分年齡世代熱力開唱。 畢業於1972年的李良猷,五十六年前就是交大星聲社...
經濟日報

臺北市政府產業發展局11月7日於三創生活園區5樓CLAPPER STUDIO 舉辦「2025 亮點企業頒獎典禮」,表揚18家得獎企業,樹立產業創新經營典範。產業發展局局長陳俊安致詞時指出,臺北市孕育眾多以創意與毅力著稱的優秀創業家,為城市注入無限活力。市府從資金、人才與市場等面向推動多項創業政策,打造「創業家友善城市」,協助企業加速朝向國際化與規模化發展。為鼓勵企業不斷朝標竿前進,每年舉辦「亮點企業獎」選拔,今年經嚴謹評選共有 18 家卓越企業脫穎而出,展現臺北產業創新的充沛能量。
三立新聞

網紅「護理系女神」謝侑芯於馬來西亞五星飯店猝逝身亡,引發各界關注。她的閨密好友「最強奶媽」之稱的謝薇安在事件爆出後,第一時間奔赴大馬追查真相,怎料卻遭部分網友質疑「蹭熱度」、「博版面」,甚至散布惡意謠言。對此,謝薇安6日晚間正式透過律師發出聲明與律師函,強調自己「從未藉此牟利」,呼籲外界停止不實攻擊。
NOWnews
台北捷運月台門上,其實隱藏一串小小的數字,北捷近期在臉書粉專解答,這些「神秘數字」不是裝飾,而是「月台門編號」,為行車與維修的重要定位資訊,能協助工作人員迅...
中國時報

高雄市仁武區一處大排,在靠近八德東路段於今(8)日晚間疑似有情侶吵架,31歲邱姓女子酒後情緒不穩,於爭執過程跌落大排中,男方為救女友也跳進其中,所幸目前水淺沒釀嚴重傷勢。據了解,邱女當時已有喝酒,呈現酒
三立新聞

台南一名鄭姓婦人加入詐騙集團當車手遭逮,全案移送地檢署後,台南地院一審判刑10月有期徒刑;鄭婦認為判太重上訴,打出悲情牌,透露自己有7個孫子要照顧,其中一個還是身心障礙,二審法官仍維持原判,但緩刑5年,全案可上訴。
風傳媒

2025 ITF台北國際旅展進入周末首日(11月8日),人潮與買氣雙雙衝高,現場熱度創新高。包括雄獅旅遊、可樂旅遊與易飛旅遊3大業者均傳出捷報,整體銷售普遍較去年同期成長2至3成,反映年底出國熱潮與政府普發萬元政策帶動民眾消費意願顯著回升。雄獅旅遊業績年增2成 寒假與春節團搶手雄獅旅遊指出,今年旅展第二日業績比去年同期成長超過2成,其中以寒假與農曆春節出發的......
TVBS

台灣職業籃球大聯盟TPBL台啤永豐雲豹今天在本土後衛高錦瑋豪取21分、6助攻情況下,搭配洋將克羅馬挹注29分,終場以122比102擊敗台北台新戰神,勇奪開季4連勝。
自由時報

週日各地多雲到晴,午後東北季風增強,北部與東北部將轉為局部短暫陣雨。白天高溫中南部可達30至33度,北部及東半部則是27至30度,但日夜溫差較大,早出晚歸請適時增減衣物以免著涼。中央氣象署預報,週日各地大多為多雲到晴的天氣,只有迎風面基隆北海岸、大台北山區、東半部地區及恆春半島偶有零星短暫雨,下午起東北季風增強,基隆北海岸、東北部地區及大台北地區轉為局部短暫陣雨。
中國時報

非洲豬瘟禁宰令於7日零時正式解除,全台屠宰場恢復作業,傳統市場的生鮮溫體豬肉銷售也全面復甦,8日上午綠委陳瑩與莊瑞雄前往台東肉品市場關心攤商恢復營業情況;陳瑩表示,會持續關心後續「豬肉攤商營業損失補助方
NOWnews
舞台王者郭富城於11月8日、9日首度唱進高雄巨蛋,今(8)日首場正式登場。郭富城不只帶來經典歌曲,讓現場粉絲尖叫聲不斷。而剛升級為三寶爸的他,自爆中文沒進步,但...
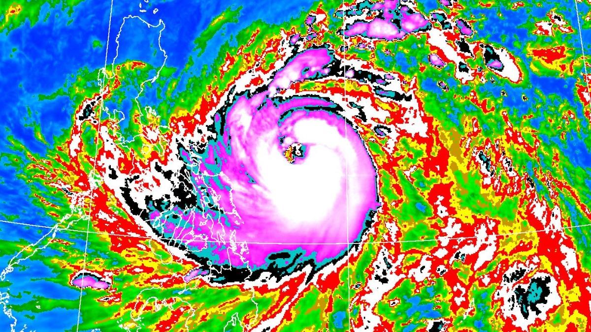
TVBS

中度颱風「鳳凰」北轉態勢明確,預估明(9)日將以強颱巔峰登陸菲律賓,接著再大角度北上穿越台灣!儘管週一(10日)颱風還沒到家門,環流就已發威,氣象署警告北、東部週一起豪大雨輪流襲擊,鳳凰影響台灣最劇烈時間曝光!
自由時報

鍾姓女子指控前夫莊姓男子婚內「精神出軌」,並拖欠30萬元裝潢費,求償共60萬元。台南地方法院調查後認為,莊男口頭承認「精神出軌」只是爭執時的氣話,並沒有實際出軌的證據,裝潢費部分也非借貸關係,全案判決鍾女敗訴。鍾女說,莊男於3年前結婚,感情逐漸惡化,莊男於前年在KTV與友人唱歌時,當眾擁抱、親吻另一名女子,婚後又疑似與不知名女子交往同居,侵害配偶權,要求賠償精神損害30萬元。她並稱,對方曾於交往期間向她借款30萬元裝潢家中房間,但事後拒不歸還,因而一併請求返還。
經濟日報
葡萄牙自由倡議黨(IL)國會顧問暨國際關係專家葛梅斯撰文指出,歐洲對台灣議題的討論長期被視為外交上的附帶補充,被納入更廣...
ETtoday

陸委會8日晚間表示,國民黨主席鄭麗文今日出席追思50年代叛國共諜吳石活動,引發國人普遍憤慨之際,居然將政府依法處分鼓勵武統、支持解放軍入侵台灣的極少數個別陸配案件,拿來作為轉移社會焦點的擋箭牌。
ETtoday

加州州長紐森(Gavin Newsom)在X平台上貼出美國總統川普(Donald Trump)同場記者會的照片,指川普當場打瞌睡,並以過去嘲諷拜登的語氣寫道:「瞌睡唐回來了!(DOZY DON IS BACK!)」照片顯示,川普在聽醫師奧茲(Mehmet Oz)談論減肥藥如何幫助改善睡眠時,似乎也在閉眼打盹,畫面在網路上瘋傳。
TVBS

彰化縣剛舉辦台灣設計展,創造了高人氣。縣長王惠美今天出席城市祈禱餐會表示,彰化很有料,只是過去太低調。
聯合報

國立大湖農工今天歡慶創校百周年,各方來賓、校友齊聚一堂,共同見證百年學府的重要里程碑。校方先前發出「我們都是湖農人」的召...
三立新聞

素以極致奢華著稱的沙漠之城杜拜,近日再次以令人咋舌的方式刷新了全球紀錄。當地一家名為 Julith 的咖啡廳,霸氣推出全球史上最貴咖啡,每杯索價高達 980美元(折合新台幣逾 3 萬元),瞬間引爆國際話題,被譽為咖啡界的「液體黃金」。
TVBS

台中新社花海登場了,今年以卡通「飛天小女警」為主題做造景設計,還有8縣市的農特展售。這也是台中市農業局長李逸安,新官上任第二天,主持年度大事。
聯合報

大陸機器人再有突破,小鵬汽車在2025年11月5日小鵬第七屆科技日上,展示了全新一代人形機器人IRON,這款機器人以高度...
工商時報

覺得自己一旦「太用力」反而更容易搞砸的人,請到這裡集合! 完美主義、花太多時間在計畫上─你是不是也心有戚戚焉? 明明知道不該這樣,卻總是停不下來,最後自己也很困擾。 我在北歐畢業後,第一份工作是在丹麥的企業擔任公關。剛開始的日子,我幾乎每天都被他們的工作效率嚇到。 在日本人的眼裡,他們的做法簡直就是...
NOWnews
香港女星鄺靜汶最近在社群發文曬出一張對話截圖,透露收到一名網友私訊開價港幣5000元(約新台幣2萬),邀她「一起吃飯」,強調「過程中只會吃飯,沒有身體上的接觸」...
經濟日報

大陸機器人再有突破,小鵬汽車在2025年11月5日小鵬第七屆科技日上,展示了全新一代人形機器人IRON,這款機器人以高度...
TVBS

中職樂天桃猿隊今天靠著張趙紘2安包辦3分打點,交流賽以3比1擊敗樂天金鷲,張趙紘把過去失敗當經驗,專注打一球建功,獲單場MVP,也盼藉由交流賽機會,觀察對方的優缺點。
自由時報

2025台北國際旅展昨天(7日)展開,華航攤位由AI品牌形象大使揭幕,現場擠滿購票人潮。華航表示,旅展首日銷售開紅盤,機票銷售張數較去年同檔旅展成長10%,新會員人數更增加逾兩千名。華航表示,接下來迎來跨年、寒假及春節出國潮,看好接下來三日旅展買氣依舊暢旺,購票還可抽機票及豐富好禮,現場購買豪經艙以上機票,還有機會獲得Sony 65吋電視、入耳式耳機、藍牙喇叭等大獎。